Commercial Lot in Salida
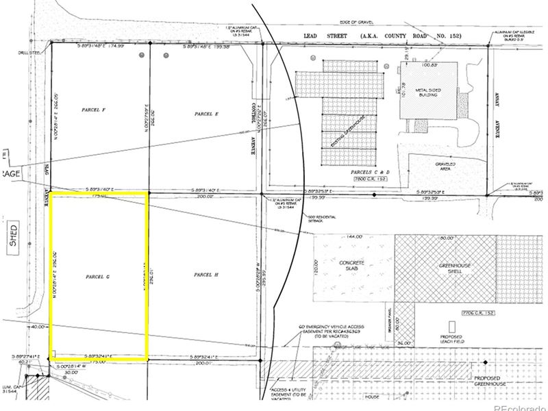
Parcel G Slag Avenue : Salida, CO 81201
Chaffee County, Colorado

Property Description
Commercial lot in Salida, Colorado. This is a level building lot that is roughly 175' x 295'. Plenty of room for lay down storage or improvement construction. Smeltertown is located conveniently off of a main highway that cuts through Downtown Salida. This would be a great access point for a courier service, auto mechanic shop, or other commercial operations.







